/
$299,900
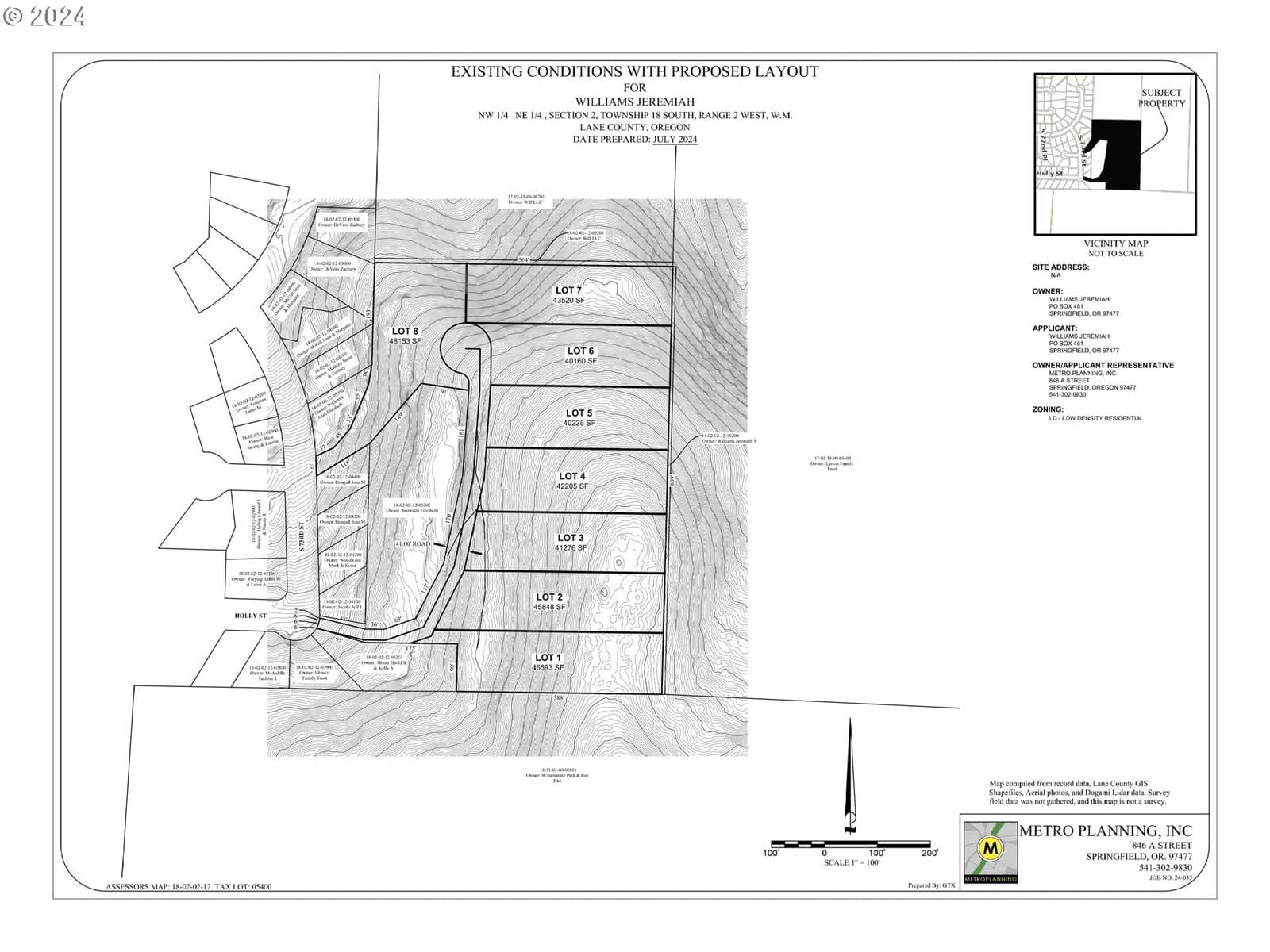
5days on marketBuild your dream home with panoramic sunrise & sunset views or divide the property into multiple lots. This opportunity includes 8.88 acres in the desirable Thurston Hills. Ideal for building a private dream estate or exploring a potential development of 8 or more lots. Comprised of two taxlots, the property features level, highly usable land on the upper eastern portion, where the sweeping views are captured. Divide and sell a few lots to fund your build. Local builders have already expressed interest in purchasing a few build-ready lots from the new owner once developed. Utilities are available at the street, along with two access points: one from 73rd and another via a paved drive at the corner of 73rd & Holly. Seller financing may be available. A rare opportunity with exceptional upside. Use 7291 Holly for GPS directions.
Legal description
18-02-02-12-05200 & 05400
$299,900
Walk Score data provided by Walk Score®