/
Data Last Updated: 05/17/2026 16:02 PT
$59,900
28days on marketSend a tour request for Seclusion Dr, Union, OR, 97883.
Hand-routed to Nate Brantley, Principal Broker & Founder. You can expect a same-day reply during business hours.
Your contact details stay private to our team and are only used to coordinate this showing.
Sign in once with your email to send this showing request and keep spam out of the lead system.
We do not post your info publicly or share it outside your showing request.
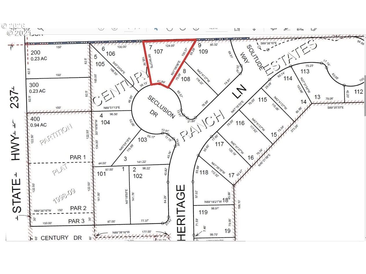
Build-ready Lot # 107 located on Seclusion Drive in Union, Oregon, just steps away from the Buffalo Peak Golf Course. This property offers a great setting with convenient access to utilities, making it an ideal spot for your future home. Enjoy the peaceful surroundings, recreational activities, and small town charm. Call your Agent to see it today!
Legal description
Turn off Highway 237 onto Heritage Lane, Left onto Seclusion Drive.
Walk Score data provided by Walk Score®